Jueves, 19 Junio 2025 06:47
Capacita Secretaría de Mujeres a Instancias Municipales de la Sierra Norte
Jueves, 19 Junio 2025 06:46
Invita IMSS Puebla a hombres a participar en Jornada Nacional de Vasectomía sin bisturí
Escrito por Parabólica.Mx
Publicado en
Local
Etiquetado como
Jueves, 19 Junio 2025 06:21
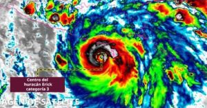
Toca tierra el Huracán Erick en Oaxaca
Jueves, 19 Junio 2025 06:12
Evoluciona el Huracán Erick a categoria 4 antes de tocar tierra: CNPC
Miércoles, 18 Junio 2025 21:52
Emite Sheinbaum alertamiento especial previo al impacto del Huracán Erick
Publicado en
Parabólica
Etiquetado como
Miércoles, 18 Junio 2025 21:23
Inauguran los Juegos Deportivos Nacionales Escolares Puebla 2025
Miércoles, 18 Junio 2025 21:13
Pone el Huracán Erick en máxima alerta al país
Miércoles, 18 Junio 2025 21:11
Acapara Ley Vs Ciberasedio la mañanera por segundo día consecutivo
Más...
Miércoles, 18 Junio 2025 21:07
El compromiso-Armenta-Chávez, violentador se dice perseguido y Bety Manrique no se dobla
Escrito por #LordCamote
Publicado en
Portal
Etiquetado como
Publicado en
Portal
Etiquetado como
Publicado en
El Blog de Puebla Deportes
Etiquetado como
Miércoles, 18 Junio 2025 19:08
Anuncia PAN batalla legal ante Ley Vs Ciberasedio
Página 653 de 1272
Minuto a Minuto
20:49 PM
2, 2026
Puebla sin afectaciones por sismo: Gobierno de Puebla mantiene operaciones normales
20:45 PM
2, 2026
Histórica recuperación del salario mínimo impulsa bienestar de las familias poblanas
20:43 PM
2, 2026
Son 17 los heridos tras explosión por fuga de gas en Agua Santa
13:51 PM
2, 2026
Destaca Sheinbaum ganancia del peso ante el dólar en inicio del 2026
13:45 PM
2, 2026
Sin afectaciones en escuelas de la entidad tras sismo: SEP
13:42 PM
2, 2026
Se activó sistema de alertamiento 67 segundos antes del sismo
13:37 PM
2, 2026
Deja sismo diversos daños en Guerrero
13:24 PM
2, 2026
Deja 10 heridos choque en bulevar 5 de mayo
Memes
de
#Lord
Camote
Columnas
Antonio Abascal
Viernes, 02 Enero 2026
Aniversarios lustrosos
El Blog de Puebla Deportes escribe Antonio Abascal
En el país del no pasa nada, sucede de todo: Estados Unidos
Parabolica.MX escribe Fernando Maldonado
Fernando Maldonado
Jueves, 01 Enero 2026
Cuando la fanfarronería se vuelve evidencia
Parabolica.MX escribe Fernando Maldonado
Fernando Maldonado
Miércoles, 31 Diciembre 2025
Crónicas de la frontera
Parabolica.MX escribe Fernando Maldonado
Fernando Maldonado
Martes, 30 Diciembre 2025
Sánchez Soya es insostenible
Parabolica.MX escribe Fernando Maldonado
Fernando Maldonado
Lunes, 29 Diciembre 2025